-22
С утра по пути на работу пропал заряд аккума, прям перед светофором. Погасил фары, потихоньку перекатился через перекресток, заглушил, проверил ремень — на месте… Снова завёл… Опять нет заряда.
Ну чтож… Я как раз недавно задумывался над заменой гены на бош)
Значит звезды сошлись)
Снял гену… рассмотрел… вижу, проблема с пайкой… как будто олово расплавилось и стекло…

Подковырнул вывод диода, а он оборван!

Менять подкову не стал… Позвонил в нивовский магаз, сказали есть бош! 7150р… фигня

BOSCH оригинал, которые ставят на новые шевики. F 000 BL0 6E8

Еще за 110р прикупил колодку от приоры-калины (про боши для шнив там пока не в курсе)



Как известно, плюсовой вывод гены на 8, пришлось квадратным напильником расточить наконечники проводов

С установкой гены тоже не всё гладко… Хоть в магазине и сказали, что кронштейн крепления гены на шевике не менялся с 2003 года, однако, оказалось, что гена упирается в него задней пластиковой крышкой… Так что верхний болт с большим трудом входит

Короче запихал его, прикрутил… Крышка гены немного похрустела… Ну а куда деваться? Мне ехать надо)

Колхозно подключил возбуждение
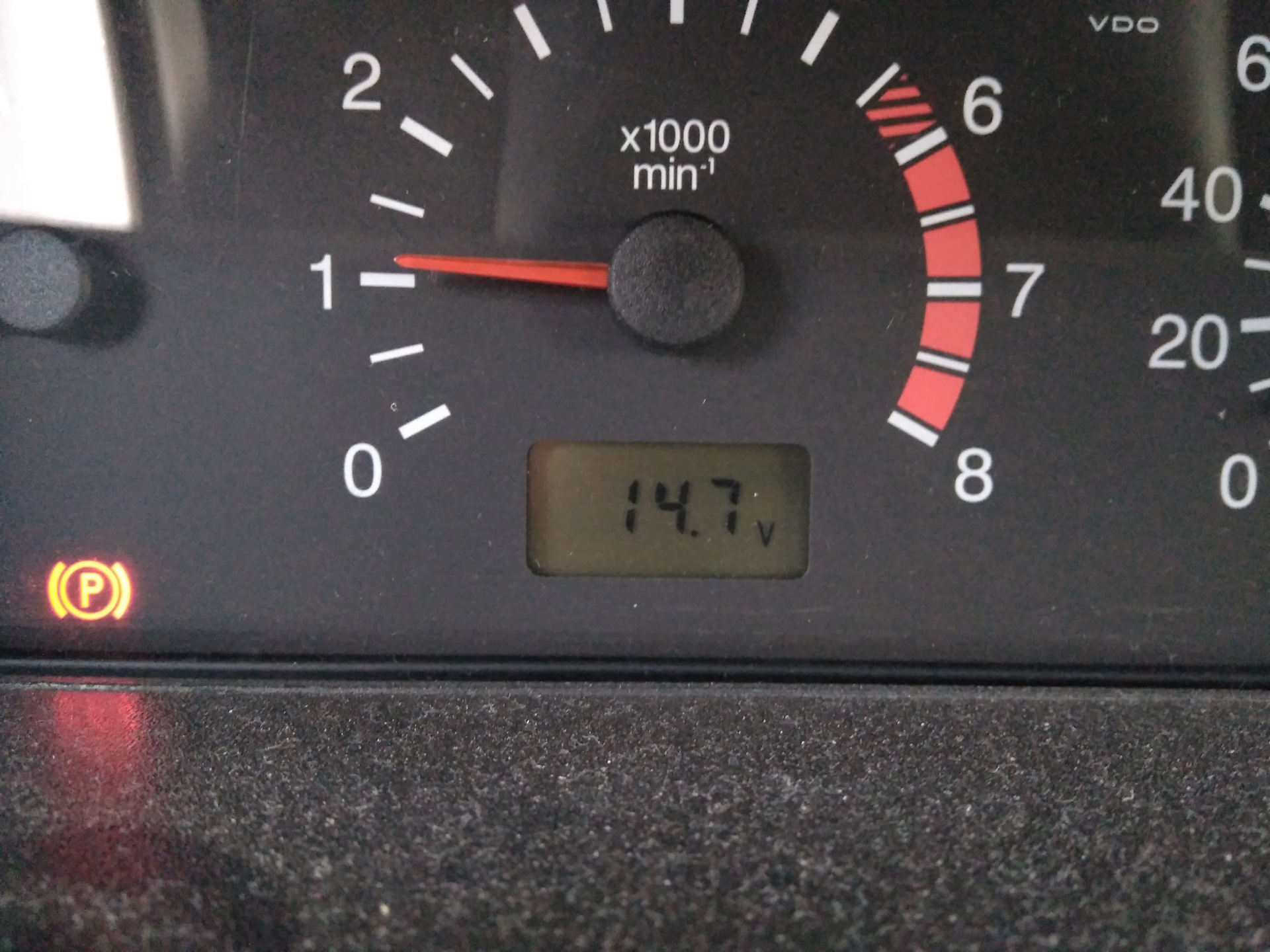
Завёл! 14.7в на панели, 14.3в на БК. Супер!


Это на холодную… А после прогрева напряжение снизилось. 14.5 на панели, 14.1 на БК
Попутно заменил реле поворотов (120р), а то с наступлением холодов начала глючить, то моргает, то не моргает.

PS
Надо будет в ближайшее время снять гену и немного проточить кронштейн, а то, думаю, крышка расколется…
И еще надо проверить провода, на которых я наконечники расточил. Дело в том, что их длины не хватало где-то 5 см, относительно старого гены (т.е. вывод боша находится дальше)… Вообщем я пока провода насколько смог вытянул… Но неизвестно их состояние под воздуханом… Надо будет его снять, проверить, а то как бы не перетёрлись где…
ЗЫ
Заказал в эмексе негорючую тканевую изоляцию
VAG N10 592 002
530р

Всем бобра и удачи!





Комментарии 23
Для новых шниве подойдёт? А то типа отличаются до 2003 и после
Это и есть для новых. У меня 2007 г.в.
В инет магазинах нет в наличии
Да, чёт правда нету…
Вот кстати номерок нашел
2123-3701010-10
В автопитер есть, но цена 9 т.р. Чёт вообще загнули…
Да, я нашел от прамо 21230-3701010-84
h2010orion
Да, чёт правда нету…
Вот кстати номерок нашел
2123-3701010-10
В автопитер есть, но цена 9 т.р. Чёт вообще загнули…
вроде инфа была что начинали ставить гены увеличенной силой тока. надо заглянуть под свой
h2010orion
Да, чёт правда нету…
Вот кстати номерок нашел
2123-3701010-10
В автопитер есть, но цена 9 т.р. Чёт вообще загнули…
Вот по этому номеру
т.е. оторвался одна ножка на диоде не диодном мосту — и меняем гену целиком и в сборе?))) богато живете!)))
Дык хорошо, что оторвался! Хоть повод заменить гену появился, а то я давно уже хотел его заменить… Задолбала низкая напруга с него
а куда провода идут?первый проверяли, на зарядку.а второй?
Второй не используется. В дизельных машинах на тахометр.
спасибо!)
У меня об воздухан перетёрлось и со штатным геной, так что лучше не тянуть время с проверкой проводов.
хорошее приобретение! стоит бошевский гена уже третий год, немногим менее пяти тысяч стоил тогда, правда я брал генератор для приоры и переворачивал крышку, чтобы кронштейн не пилить. встал как там и был.
з.ы. крайне советую клеммы заменить
Так это надо не клеммы менять, а все три красных провода, они ж короткие…
Разберу, посмотрю, куда они идут…
В моем случае длины проводов хватило с запасом, я лишь новые клемы поставил.
замерь на аккуме сколько напруга и скорректируй на бортовом.
Проблема не в БК. Если двигатель не заведен, то панель и БК показывают в точности одинаковую цифру.
А когда заводишь, то появляются какие-то потребители, и, вероятно, из-за просадки в проводах, БК показывает пониженное напряжение, которое выдают ему мозги. Но я не знаю в какой точке мозги измеряют напругу, а то бы я туда пробросил кабель потолще с аккума, чтоб просадки не было…
Лайфхак. чтобы не точить кронштейн под отлив на гене. откручиваешь болтики по краям и проворачиваешь переднюю крышку генератора.и отлив уходит в сторону от кронштейна
Спасибо за совет!
Trent63
Лайфхак. чтобы не точить кронштейн под отлив на гене. откручиваешь болтики по краям и проворачиваешь переднюю крышку генератора.и отлив уходит в сторону от кронштейна
Интересно, у новых шевиков тоже с завода хрустит?))
Там кронштейн другой чутка вроде
А человеку сказали, что с 2003 г. Не менялся. Вот и верь после этого продаванам. Я поэтому и покупаю з.ч в своем городе у одного и того же продавца которого знаю и у которого тоже шевик